Casa indipendente in vendita

Verrua Po, Via XXVI Aprile
€ 175.000
7 locali 7 locali
162 Mq 162 Mq
2 bagni 2 bagni

Casa indipendente in vendita

Verrua Po, Via XXVI Aprile

Descrizione annuncio

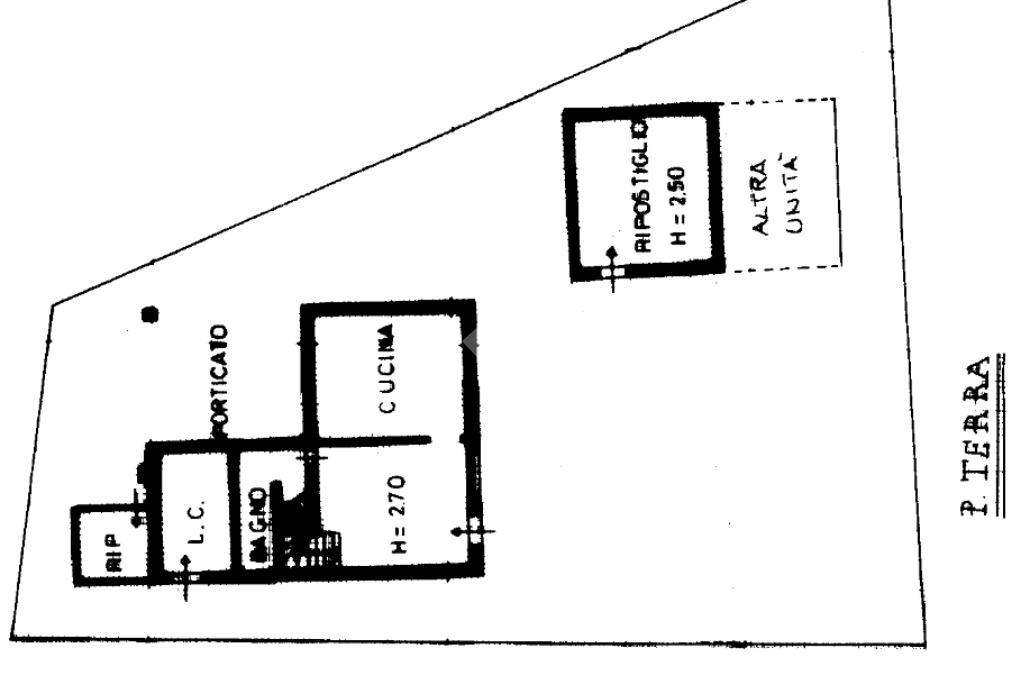
Nel comune di Verrua Po, proponiamo in vendita villa indipendente libera su quattro lati, disposta su due livelli, ideale per chi cerca ampi spazi e totale indipendenza.

Al piano terra troviamo una luminosa sala, una cucina abitabile e servizi.
Al piano superiore si sviluppa la zona notte composta da tre ampie camere da letto e secondo bagno.

L’abitazione è stata completamente ristrutturata, dotata di impianti autonomi e caldaia nuova, garantendo comfort ed efficienza energetica.

Completano la proprietà un ampio giardino privato con portico, terreno edificabile e rustico, offrendo ulteriori possibilità di utilizzo o ampliamento.

Soluzione ideale per famiglie o per chi desidera vivere in un contesto tranquillo, immerso nel verde, senza rinunciare alla comodità degli spazi.

Mostra tutto

Caratteristiche

Rif.:
61164421
Piano:
2 di 2 (Piano su più livelli)
Box:
1
Posti auto:
3
Balconi:
1
Camere da letto:
3
Mostra tutto
Prezzo Prezzo
€ 175.000
Rata mutuo Rata mutuo
€ 817 / mese
Spese annue Spese annue
€ 0
Proponi il tuo prezzoProponi il tuo prezzo

Classe Energetica

G
G
G
G
G
G
G
G
G
EP globale non rinnovabile:
377.79 kW h/m² anno
EP invernale del fabbricato:
EP estiva del fabbricato:
Anno di costruzione:
1950
Riscaldamento:
Autonomo
Tipo impianto:
A radiatori
Tipo alimentazione:
Metano

Ti interessa visionare l'immobile?

Fissa un appuntamento  Fissa un appuntamento

Richiedi informazioni

Clicca su Leggi per aprire l'informativa
* Questi campi sono obbligatori

Calcola il tuo mutuo

Semplice e senza impegno
Anticipo

( % )
Mutuo

( % )

pochi semplici passi

inserisci i tuoi dati
Questionario completato
Grazie per aver richiesto un appuntamento senza impegno con un nostro Consulente del Credito e Assicurativo.

Hai inserito correttamente tutti i dati necessari e a breve riceverai una e-mail con un link da convalidare per inviare i tuoi dati.
Affiliato
Pavia Case D.I.
Viale Della Libertà, 47/A 27100 Pavia (PV)

Il nostro staff


  • Marco Bernabovi
    Affiliato

  • Alessandro Conti
    Collaboratore

  • Stefano Invernizzi
    Responsabile

  • Simona Pinna
    Collaboratrice
Viale Della Libertà, 47/A 27100 Pavia (PV)
Zona: Chiozzo-Cravino-Sora-Stazione-Ticinello-San Lanfranco-Ticinello-Policlinico
Mostra su mappa
Orari: dal lunedì al venerdì dalle 9.00 alle 12.30 -dalle 14.30 alle 19:30; sabato dalle 9.00 alle 12.30 - ; domenica su apputamento
Affiliato
Pavia Case D.I.
Viale Della Libertà, 47/A 27100 Pavia (PV)

2026 Tecnocasa Franchising S.p.A. - P. IVA 08365160152 - Via Monte Bianco 60/A 20089 Rozzano (MI). Ogni agenzia ha un proprio titolare ed è autonoma. Privacy policy | Policy utilizzo | Cookie policy